LACONIA — City councilors will consider a request to use Tax Increment Financing funds for projects downtown at their meeting Monday night.
The meeting is set for 7 p.m. on Monday, Feb. 24, at City Hall downtown.
The downtown TIF advisory board met Jan. 29, and recommended several downtown improvement projects, the majority of which relate to landscaping and street scape.
The estimated cost to complete the projects is $81,000, to be funded through the downtown TIF.
The list of projects to be completed include landscaping at Rotary and Stewart parks, City Hall and various commercial areas, among others. The list includes $5,000 to purchase tulips, and $12,000 for trees, shrubs and benches.
TIF districts are local investment funds where a portion of taxes are earmarked for projects closest to where the funds were received. Laconia has three such districts — one downtown, another in Lakeport and one at the Weirs.
Property taxes within these districts are split into two categories: existing tax revenue relative to assessed property value when the district is formed, and property tax revenue based on incremental property value as a result of capital improvements.
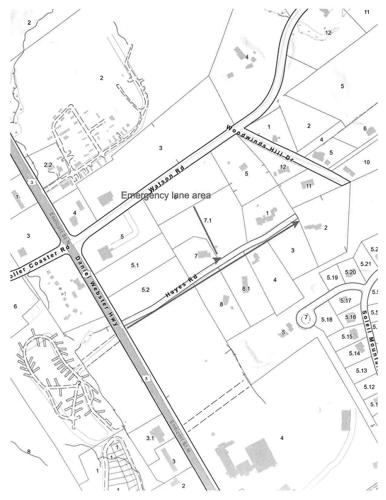
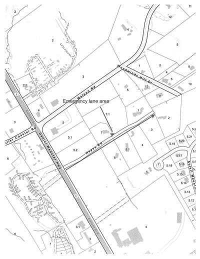
Councilors will also discuss declaring a portion of Hayes Road an emergency lane.
City officials have recently learned the Hayes Road private right-of-way might extend from the constructed portion that ends at 105 Hayes Road to Scenic Drive, according to a city staff report.
The public works department has identified the constructed portion of Hayes Road, which ends at the western boundary of 105 Hayes Road, as the portion under consideration to be declared an emergency lane.
Councilors approved stopping public works services to Hayes Road on March 11, 2024. At the Feb. 10, meeting of the council, Ward 1 Councilor Bruce Cheney requested the city declare Hayes Road an emergency lane, according to the report.
The city council must hold a public hearing before declaring a private road an emergency lane. A date for a public hearing has not been set. Abutting landowners must be notified by mail at least 10 days before the date of the public hearing.
Councilors cannot declare a private road an emergency lane without the permission of abutting landowners and permission could be withdrawn at any time. Additionally, councilors have to determine there exists a need to keep such a road passable for emergency vehicles and the action is supported by the public interest and not for the private benefit of abutters on the road.
If it’s declared an emergency lane, the city could use funds to remove brush, repair culverts or complete other work necessary to ensure passage for firefighting equipment, rescue equipment or other emergency vehicles.
The city council could declare the road as an emergency lane or as a “winter-only” emergency lane. A “winter-only” declaration would allow the city to plow and treat the road, so emergency vehicles can access the area in winter.
Abutting landowners are responsible for all other maintenance under either option.
Public works staff recommend councilors schedule a public hearing on the matter for Monday, March 24, determine which sort of declaration would be issued, and not to approve a request to provide curbside solid waste collection. The recommendation notes granting waste collection could result in other private roads requesting an exception, which, if approved, could result in the city’s solid waste collection program exceeding its budget.


(0) comments
Welcome to the discussion.
Log In
Keep it Clean. Please avoid obscene, vulgar, lewd, racist or sexually-oriented language.
PLEASE TURN OFF YOUR CAPS LOCK.
Don't Threaten. Threats of harming another person will not be tolerated.
Be Truthful. Don't knowingly lie about anyone or anything.
Be Nice. No racism, sexism or any sort of -ism that is degrading to another person.
Be Proactive. Use the 'Report' link on each comment to let us know of abusive posts.
Share with Us. We'd love to hear eyewitness accounts, the history behind an article.