LACONIA — City councilors approved changes to parking along Howard Street downtown at their meeting Monday night.
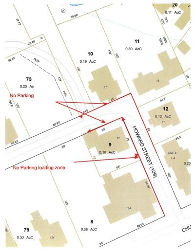
Howard, located off Church Street, is narrow and partially one-way. Councilors, in addressing congestion issues at one particular corner of the street, restricted on-street parking there and created a loading zone to facilitate deliveries and trash pickup for a neighborhood restaurant.
“We looked at all kinds of situations on that particular street, Victoria Woods and the whole situation, and we came to the conclusion that the bottleneck and the problem area was that particular corner,” Ward 4 Councilor Mark Haynes said. “Right after the Brick Front" Restaurant & Lounge.
Councilors learned in October that vehicles perpetually parked on the corner between 11 and 15 Howard St. make it difficult for other cars to pass through, and had concerns regarding access for fire trucks and other emergency vehicles.
Howard Street is 19 feet wide and parking was previously allowed on either side. It’s partially one way, from Riverside Court to the entrance of Victoria Woods.
The issue was brought to the attention of Ward 2 Councilor Robert Soucy by constituents, and subsequently sent for review by the public works subcommittee of the city council. That committee met again on Dec. 19, and determined: the traffic pattern on Howard Street should stay the same; and the corner of Howard Street in the vicinity of 15 and 12 Howard St. should become a no-parking zone on both sides of the road. The restricted area will begin at the southern property boundary of 12 Howard St. and end on the west side of the driveway into Victoria Woods; and a loading zone will be established on the even-numbered side of the road in the vicinity of the Brick Front.
“As far as the restaurant is concerned, there’s going to be loading zone signs so that they can load and unload their trucks as far as deliveries to the restaurant,” Haynes said.
Subcommittee members arrived unanimously at the recommendation, Haynes said Monday night.
Most of the properties on Howard Street are multifamily dwellings and some have limited parking, according to a city staff report.
At a public hearing on the matter held in November, several constituents and neighborhood residents expressed their concerns regarding making the street one-way through its entirety. That aspect of the change was removed following further discussion by the public works subcommittee.
The estimated cost to the city to install signs to implement the changes is $800, and will be funded by the public works department’s regulatory sign budget, according to a staff report.
Councilors approved the changes unanimously Monday night after brief discussion. No members of the public spoke for or against the changes during a portion of the meeting dedicated to hearing public comments regarding agenda items.
Haynes asked City Manager Kirk Beattie if the police department would hear about the changes.
“When these changes are made, are the police department made aware of these things?” Haynes asked.
“We’ll make sure that they’re aware,” Beattie said.


(0) comments
Welcome to the discussion.
Log In
Keep it Clean. Please avoid obscene, vulgar, lewd, racist or sexually-oriented language.
PLEASE TURN OFF YOUR CAPS LOCK.
Don't Threaten. Threats of harming another person will not be tolerated.
Be Truthful. Don't knowingly lie about anyone or anything.
Be Nice. No racism, sexism or any sort of -ism that is degrading to another person.
Be Proactive. Use the 'Report' link on each comment to let us know of abusive posts.
Share with Us. We'd love to hear eyewitness accounts, the history behind an article.